Ich zahlte noch eine Nacht (COP 33K) wegen meiner späten Abreise 1:30 und meine Wäsche (COP 27K), hatte ein Frühstück/Mittagessen nebenan (COP 8.000). Alles klappte gut, auch der Bus (COP 1.600) zu Rocky Cay.
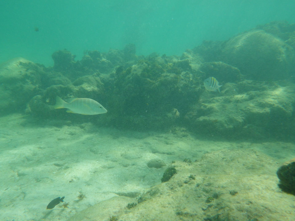
Dort war ein Resort oder Hotel, jedenfalls viele Leute. Ich sah das Schiffswrack. Zunächst hatte ich Rocky Cay auf der anderen Inselseite vermutet, jetzt also hier. Ich holte mir einen Locker (COP 5.000) und ’ne Limo bei der Hitze. So stiefelte ich durch’s Wasser auf die Insel. Bei den Vulkansteinen wären meine neuen Schwimmschuhe von gestern heute richtig gewesen. Die Flipflops reichten gerade so.
Im Wasser war’s dann wieder super. Taucherbrillen konnte man sich auf der Rocky Cay leihen, ich hatte meine eigene dabei. An einem Netz versteckte sich ein netter kleiner Schwarm von Fischen. Ansonsten schwammen hier auch einige herum. Ein netter kleiner Ort, gut für viele Photos.
Wieder zurück auf der Hauptinsel, Bus kam auch gleich und hielt fast vor’m Hostel. Alles easy! Ich war müde und es war erst 16:00. So deidelte ich etwas herum, kam schließlich nach 18:00 wieder vor die Tür, wollte etwas shoppen gehen. Schuhe, Parfüm und Kleidung gibt’s hier zu Hauf. Ich fand dennoch nichts zu kaufen, hatte nur ein paar Eis. Insgesamt bin ich aber nun bereit, die Insel zu verlassen. Irgendwie kenne ich das alles nun.
Bei Kikiriki eine Hamburguesa, ein Deutscher mit Begleitung am Tisch – im Supermarket „Super Toto“ traf ich LA. Im Hostel dann packen, Photos genießen – Abreisestimmung. Aus dem Zimmer fährt noch ein anderer nach Providencia. Ich würde das auch gern checken, war dann aber 23:00 abreisebereit für Quito. Mit vollem Gepäck zum Flughafen – schweißtreibend. Ein frisches T-Shirt und Powerade hatte ich geplant und mit. Bis zur Abreise checkte ich einige emails, noch etwas das Handy-Internet nutzen. Ich checkte online über Handy auch bei LAN für den Medellín-Quito Flug ein.
Im Duty Free wollte ich eigentlich Zacapa 23 jährgen kaufen aber ohne Preis wurde das nichts. Der 15jährige Rum war im Vergleich zum Laden nicht billiger und so ging eine 7 jährige Havana Club für COP 24.700 mit. Den hatten wir die letzten paar Tage. Ist schon OK und wird gut genug für’s Hostel sein.
Der Flug startete verspätet aber ich hatte einen Business Class Sitz. Das war ganz bequem und so kamen wir 3:50 morgens wieder in Medellín an. Was nun?
Erst mal war’s sehr kalt. Ich holte einen Pulli raus und checkte die Abflugshalle nach Schlafplätzen. Nichts zu finden, überall saßen die Leute in den harten Sitzen. Auch oben bei den Restaurants wurde geputzt und der neue Tag vorbereitet. Ich ging runter sah einen Van mit Rionegro drauf. Ich machte verständlich, dass ich ein Hotel in der Nähe – mui economico wolle. Preislich hätte ich handeln sollen aber der Fahrer war nett und bekam 20.000 COP. Der gleiche Preis €9 für’s Zimmer und ich hatte was für die Nacht.
Gegen 6 schlief ich ein. Das war doch besser, als auf dem Flughafen.
























































































0 Responses to “Rocky Cay, Abreise”